NOTICE OF PUBLIC HEARING - Amendments to Zoning & Land Use Provisions for Sunset Ridge
NOTICE OF PUBLIC HEARING
RE: Amendments to Zoning and Land Use Provisions for Sunset Ridge Development Agreement
HEARING TIME AND LOCATION
Notice is hereby given that the Santaquin City Planning Commission will be holding a public hearing at approximately 7:00 P.M. on Tuesday, December 9, 2025. The in-person meeting will be viewable online. The meeting will be held in person at the Council Chambers 110 S. Center Street Santaquin, UT 84655.
YouTube Live- Public meetings will be shown live on the Santaquin City YouTube Channel, which can be found at https://www.youtube.com/channel/UCTzZT_yW2H2Hd-58M2_ddSw
THE PROPOSAL.
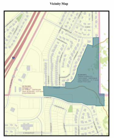
Owners of the development company, Urban Homes LLC, are proposing a development called Sunset Ridge on property located on the east bench north of Main Street and south of Lambert Avenue or approximately 1025 E. Main Street. The current zoning of the property is R-10 Residential Zone and is currently within the boundaries of a Planned Unit Development (PUD) that was previously approved in 1999. As part of this proposal, a development agreement is
proposed which would trade property for the benefit of the developer and Santaquin City. The trade would include property for a retention basin and stormwater conveyance piping to protect homes west of the site, open space realignment, Interchange Commercial (C-1) zoning, Main Street Residential (MSR) district zoning, Public Facilities (PF) zoning, and other elements as will be presented and discussed at the Planning Commission meeting.
HEARING PURPOSE.
The hearing is an open meeting in which residents will have the right and opportunity to voice concerns or ask questions about the proposal. Feedback from residents may be used to help mitigate possible impacts. This is the only public hearing which will be held on this request.
COMMENTS OR QUESTIONS
If you have questions or concerns about this proposal, please contact the Santaquin City Community Development Department at 801-754-1011. Individuals may request a copy of this notice by calling 801-754-1904. A copy of this notice was posted online at www. Santaquin.gov, at the City Hall Building at 110 S. Center Street and on the State of Utah’s Public Notice Website, https://www.utah.gov/pmn/index.html.
For those interested in providing public comment, we invite you to sign up on the Public Hearing Speaker Sheet which will be located at the entryway of the of the Council Chambers on the night of the public hearing.
Sincerely,
Santaquin City
Community Development Department
(801) 754-1011
This notice is being sent to all property owners within 500 feet of the property involved in the proposal in accordance with Santaquin City Code, §10.68.110. If notice given under this Title is not challenged in written form to the City's Appeal Authority within 30 days after the meeting or action for which notice is given, the notice is considered adequate and proper. Furthermore, if no challenge or protest is filed within 30 days after the meeting or action for which notice was given, any defect in the notice shall not affect or invalidate any hearing or action by the Planning Commission or City Council.
